Catastrophic impacts expected next 72 hours for Jamaica
Oct 25, 2025
Just finished up a long day of travel and wanted to send a very quick update about Melissa. Melissa has been rapidly intensifying all day, and has went from a 45 mph tropical storm 24 hours ago to a 115 mph category 3 hurricane on the 10 pm CT advisory from the National Hurricane Center.

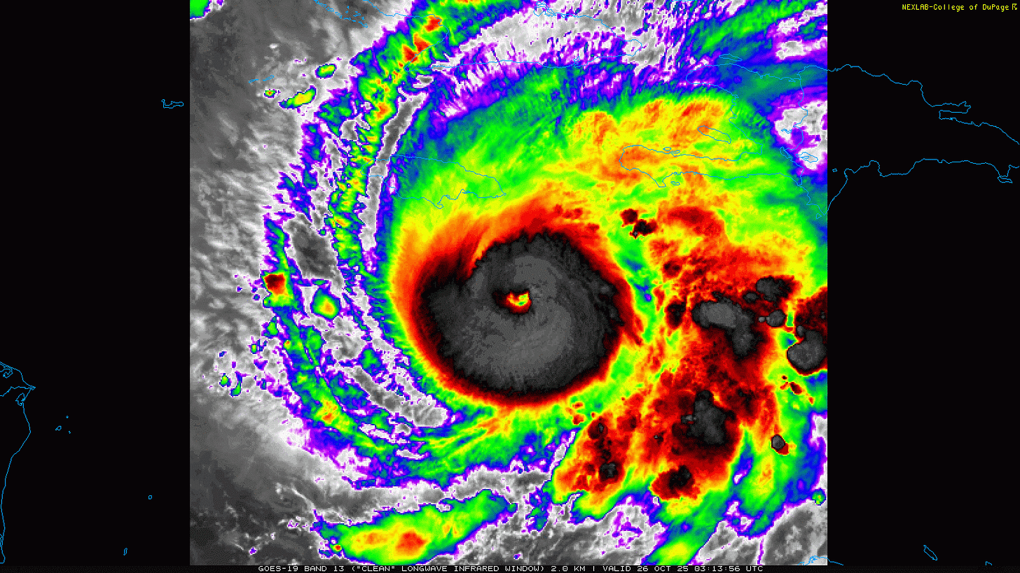
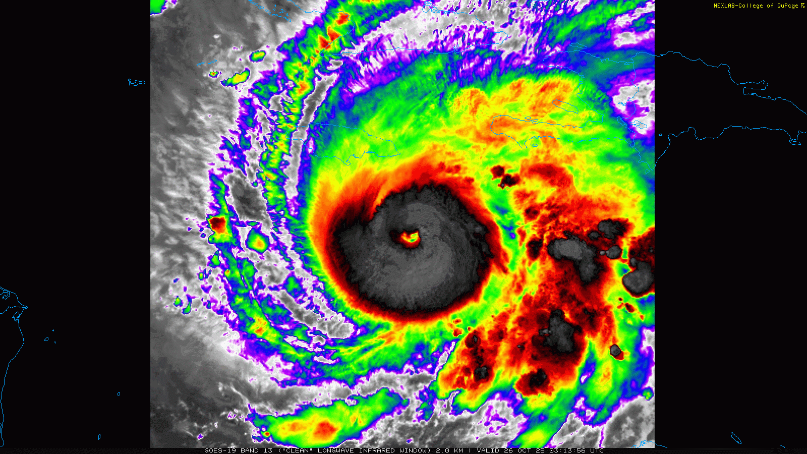
All indications from observational data this evening suggest that Melissa is continuing to rapidly intensify. A well defined eye is becoming apparent in infrared satellite imagery. Aircraft reconnaissance data this evening shows that the hurricane is drifting west-southwest to the southeast of Jamaica and that motion should continue for at least the next 24 hours or so.

By early next week, as the upper level of trough of low pressure we have been talking about starts to evolve over the eastern United States, there is strong model agreement (Google DeepMind AI ensemble track shown above) that Melissa will turn north-northeast and move across Jamaica and eastern Cuba.
![[Key Messages] [Key Messages]](https://substackcdn.com/image/fetch/$s_!jVOO!,w_1456,c_limit,f_auto,q_auto:good,fl_progressive:steep/https%3A%2F%2Fsubstack-post-media.s3.amazonaws.com%2Fpublic%2Fimages%2Fe42d3fc0-34bd-4cc7-90a9-aeb99ed27630_897x736.png)
It is hard to express just how potentially catastrophic this situation looks for Jamaica. We are talking about 48 to 72 hours of wind, rainfall and storm surge impacts from a likely category 4 or 5 hurricane. While there could be fluctuations in intensity due to structural changes within Melissa once it reaches an initial peak from this current round of rapid intensification, all signs are it should be at category 4 or 5 intensity when it makes landfall in Jamaica, which could make it the strongest hurricane on record to make landfall there as noted by NHC earlier today. Regardless, the slow movement of the hurricane all but ensures catastrophic flash floods and mudslides with the potential for more than 30” of total rainfall in the mountainous terrain of eastern Jamaica.
Disastrous impacts are also likely for parts of Hispaniola — especially southwestern Haiti — and eastern Cuba. While Melissa will likely be weaker as it crosses the eastern Bahamas due to land interactions and increasing shear, it should still be a large and formidable hurricane with major impacts expected. Melissa could eventually be a threat to Bermuda late next week.
I will have full update on Sunday on Melissa as well as other weather happenings.

Leave a comment