Eastern Cuba should see next landfall of a large, reorganizing hurricane early Wednesday
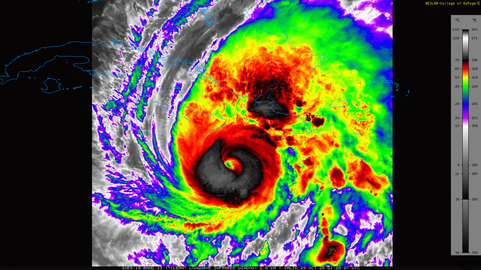
The eye of Melissa emerged off of the north coast of Jamaica just to the east of Montego Bay late this afternoon. Satellite data showed that the mountainous island clearly took a toll on the hurricane, and the first reconnaissance mission into the hurricane confirmed this, finding that the pressure had risen more than 50 millibars to 950 mb. Maximum sustained winds on the most recent NHC advisory released at 7 pm CT reported maximum sustained winds of 125 mph, making Melissa a category 3 hurricane on the Saffir-Simpson Hurricane Wind Scale.

However, that reconnaissance mission already left Melissa over an hour ago, and in that time infrared satellite data shows that Melissa has continued to rapidly reorganize, with increasing intense thunderstorm activity wrapping around a warming eye. The earlier reconnaissance data also showed that Melissa’s windfield has expanded substantially since it made landfall earlier today. The bottom line is that a larger and somewhat weaker — but still intense — Melissa will be what eastern Cuba will be facing when the next landfall occurs early on Wednesday.
![[Key Messages] [Key Messages]](https://substackcdn.com/image/fetch/$s_!UDY6!,w_1456,c_limit,f_auto,q_auto:good,fl_progressive:steep/https%3A%2F%2Fsubstack-post-media.s3.amazonaws.com%2Fpublic%2Fimages%2F1287ab2d-1143-4bf6-a0d1-df51c48a450b_897x736.png)
Disastrous impacts from storm surge, high winds and rainfall produced flooding are anticipated in eastern Cuba overnight and into Wednesday. Additional heavy rainfall of up to 10” on top of what has already fallen will also exacerbate devastating flash floods and landslides on Jamaica and Hispaniola.
The eastern Bahamas will be next on the impact list for Melissa later on Wednesday and into Wednesday night. The passage over eastern Cuba as well as the start of increasing wind shear should mean that Melissa will be an even weaker hurricane when it reaches those islands, but it will still likely be a large and damaging hurricane as it moves through the region.
Obviously, it will take many hours and days to understand the devastation that Melissa has wrought on Jamaica. It is important to recognize that the most populated area of Jamaica around Kingston was thankfully spared from the wrath of the core of the hurricane, with areas in western Jamaica including around Montego Bay and the Black River bearing the brunt of the storm. It will take time for rescuers and officials to reach the more remote areas that have suffered the most intense damage. Rainfall reports are also scarce to understand the magnitude of flooding that may have occurred across the island.
With all of these caveats, preliminary information as reported by NBC News indicates that St. Elizabeth Parish in southwest Jamaica has suffered extensive widespread damage and that more than 530,000 customers — about three quarters of the island — were without power. I will obviously be talking a lot more about Melissa’s impacts and place in the history of Atlantic hurricanes in coming posts.

Leave a comment